| ID # | 907964 |
| Özellikler | Arsa büyüklüğü: 1.23 dönüm |
| Yıllık vergiler | $3,328 |
![]() |
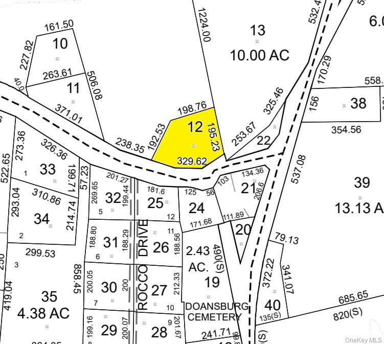
Bu geliştirilmemiş 1.23 dönümlük konut arsa, bölgedeki alışverişe yakın ve Brewster Merkez Okul Bölgesi kampüsüne sadece iki mil mesafededir. I-684 ve I-84'e kolay erişim imkanı vardır ve Putnam Hastanesi'ne yedi mil uzaklıktadır. Daha önce mevsimsel bir konut yeriydi ve yeniden geliştirilmek üzere hazırdır. Arsanın iç kısmı, kuzeybatıda Farrell Tepesi de dahil olmak üzere ağaçlık tepelerin manzaralarını sunmaktadır.
Arsa R-160 olarak zonlanmıştır, bu da bir ek dairesi olan tekil bir müstakil konuta izin verir ve özel izinle bir ev ofisi veya gayrimenkul ofisi açılmasına olanak tanır.
This unimproved 1.23-acre residential lot is conveniently located near area shopping and just two miles from the Brewster Central School District campus. It has easy access to I-684 and I-84 and is seven miles from Putnam Hospital. It was previously the site of a seasonal residence and is ready to be re-developed. The interior of the lot provides views of wooded hills, including Farrell Hill to the northwest.
The lot is zoned R-160, which permits a single detached dwelling with an accessory apartment, and allows for a home occupation or a real estate office with a special permit. © 2025 OneKey™ MLS, LLC







