| MLS # | 940365 |
| Özellikler | 2 fam, 6 yatak odası, 4 banyo, Arsa büyüklüğü: 0.17 dönüm, Binada 2 ünite var |
| İnşaat yılı | 1964 |
| Yıllık vergiler | $53,000 |
| Otobüs | 1 dakika: Q56 |
| 6 dakika: Q24, Q37 | |
| 9 dakika: Q55 | |
| 10 dakika: Q11, Q21, Q52, Q53, QM15 | |
| Subway | 2 min: J, Z |
| Tren (LIRR) | 1.2 mil: "Kew Gardens" |
| 1.7 mil: "Forest Hills" | |
![]() |
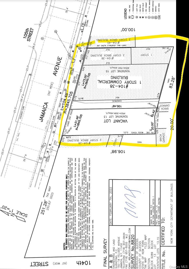
Karma kullanımlı bina paket satışları, 2 daire artı 4 dükkan artı çamaşırhane artı onaylı plan ile 30x100 arsa. Toplam alan, 2 parsel birleştirildiğinde 100x100 (10,000 sqft) R6A bölgesi. Harika gelir, inşa edilebilir alan 30,000 sqft.
Mixed use building package sales, 2 family plus 4 stores plus laundromat plus land lot of 30x100 ( with approved plan). total square feet combine 2 lot is 100x100 (10000 sqft ) R6A zone Great income ,buildable square feet 30,000.
This information is not verified for authenticity or accuracy and is not guaranteed and may not reflect all real estate activity in the market. Listing courtesy of Building 1 Property Mgmt Corp © 2026







